
Qzone
微博
微信
“舌尖上的谣言”千变万化,这些谣言之所以能在朋友圈里“屡辟屡传”,其中一个重要原因是因为消费者有着极大的安全焦虑。食品谣言的存在,不仅说明了消费者在相关科学知识方面的空白,也反映出社会对食品安全的担忧。在315晚会上,专家用试验帮助消费者打破谣言。
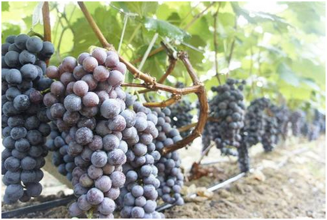
谣言1:葡萄上的白霜是农药。
辟谣:葡萄上的白霜主要成分是醇类、酯类、天然蜡制,是有机制,是无毒无害可食用的,对人体无害。农药在水果上的残留是微量的,肉眼根本看不见。除了葡萄,李子、蓝莓、西梅、冬瓜等表面也有类似的白霜,可以放心食用。
谣言2:怀孕不能吃冰淇淋/雪糕。
辟谣:实际上,怀孕是可以吃冰淇淋/雪糕的,因为孕妇比普通人更怕热,体温也比一般女性高0.2℃-0.5℃,而且孕妇耐高温能力又差,可以适当吃解解馋。但是要提醒宝妈们注意,选择无防腐剂、无香精色素的健康、品质的产品,切莫贪凉过量吃冰淇淋/雪糕。
谣言3:每日喝可乐=慢性自杀。
辟谣:严重夸大了可乐对人体的作用,可乐属于高糖分饮料,大量饮用确实对高血糖、高血脂等特定人群有危害,但并非会变成“慢性自杀”的主凶。
谣言4:螃蟹和西红柿一起吃会产生砒霜。
辟谣:在昨天的315晚会,经过科研人员用蟹肉模拟人体内部环境进行实验,发现蟹肉中的有机砷没有变成有毒的三价无机砷。试验中检测到的无机砷是原来就在蟹肉里,不是加入西红柿后生成的。即便是蟹肉中的这些无机砷,远远不会导致人们中毒。
谣言5:浙江某地惊现塑料大米做的弹力年糕。
辟谣:大米的种类不同、存储时间不同,都会影响年糕的口感。年糕中糯米比例越高,口感越弹。同时,米在水里浸泡的时间、水温都会影响米得含水率,含水率低,做出来的年糕就硬,不容易切断。
谣言6:花生泡在水里,水变成红色是因为添加了染色剂。
辟谣:实际上果蔬掉色,因为含有天然的水溶性色素,花生泡水水变红很正常,因为花生有花生衣红。像我们吃的桑葚、红色火龙果,里面的花青素多,手上也会被花青素染色。
谣言7:怕胆固醇高只吃蛋清不吃蛋黄。
辟谣:蛋黄中确实含有较多的胆固醇,但是人体中的胆固醇大部分来源于人体自身的合成,只有小部分来源于食物。而且在摄入胆固醇的时候,人体自身有一个调控,当体内胆固醇高时,吸收率就会下降。所以,不是你吃多少蛋黄,身体里就会增加多少胆固醇。蛋黄中不仅有胆固醇,还有卵磷脂,卵磷脂可以有效地阻止胆固醇和脂肪在血管壁上的沉积。所以,吃鸡蛋时,可以放心地吃蛋黄,不用扔掉了。
谣言8:旧电饭煲脱出来的涂层是特氟龙,在加热后会释放毒性,让白饭变“毒饭”。
辟谣:按照日常的使用方式,不用担心特氟龙涂层分解出有害物质,可以安全使用,不会危害人体健康。
谣言9:西瓜变红变甜靠打针。
辟谣:西瓜皮比较结实,瓜瓤非常脆弱,针要扎进去容易,水打进去很难,你一拔针水都露了出来,水压之下,瓜瓤被压坏,这样西瓜根本就放不住。不到一天就得坏,卖家就会得不偿失。
谣言10:乒乓球蛋黄是假鸡蛋。
辟谣:把鸡蛋放进冰箱冷冻4小时,拿出来再煮,剥出来的蛋黄,这时候就像乒乓球一样有弹性。因为将鸡蛋放进冰箱冰冻,破坏了里面的蛋白质,发生了变化,会影响口感。所以,鸡蛋放置时要注意温度。
今年央视3·15晚会的主题是“共建秩序共享品质”,除了大家都关注的曝光案例,本届晚会还加大了消费预警力度,通过增强消费者的辨别能力,打破谣言。